Aplicativo Monitora Caju auxilia produtores no controle de pragas e doenças, com orientações práticas de manejo no campo.
O Monitora Caju, aplicativo desenvolvido pela Embrapa Agroindústria Tropical (CE), auxilia produtores e técnicos da extensão rural no monitoramento e diagnóstico do oídio (Pseudoidium anacardii), principal doença da cajucultura, da traça-da-castanha (Anacampsis phytomiella) e da broca-das-pontas (Anthistarcha binocularis), pragas com grande potencial de dano à cultura. A ferramenta também orienta o manejo fitossanitário, conforme o nível de incidência identificado, o que contribui para prevenir infestações, reduzir perdas e diminuir custos de produção.
Desenvolvido para celular (sistemas Android e iOS) e computador, o Monitora Caju funciona sem necessidade de conexão com a internet. A ferramenta disponibiliza informações organizadas por categorias, como pragas, doenças, sintomas e monitoramento, orientando o usuário na vistoria do pomar, na identificação de problemas e no manejo fitossanitário. Além disso, reúne um amplo acervo de publicações da Embrapa com resultados de pesquisas sobre a fitossanidade do cajueiro.
A ferramenta de Manejo Integrado de Pragas (MIP) e doenças do cajueiro indica o momento mais adequado para a tomada de decisão do produtor na gestão fitossanitária do pomar. O aplicativo permite ao usuário avaliar as condições fitossanitárias das plantas com base no que observa em campo, comparando com imagens de exemplares sadios e com sintomas de pragas ou doenças, disponíveis no banco de dados, facilitando o diagnóstico.
De acordo com o pesquisador Marlon Valentim, coordenador dos estudos para desenvolvimento do aplicativo, a tecnologia é de fácil acesso e fornece informações seguras, em linguagem simples, na palma da mão, que ajudam a manter a sanidade dos plantios. “A cajucultura é uma atividade de base familiar e carece de inovações tecnológicas e serviços de assistência técnica no campo. Contar com respostas rápidas e eficientes faz toda diferença para o produtor rural e pode fortalecer a produção de caju no Nordeste, especialmente em áreas rurais mais distantes que ainda convivem com a falta de conectividade no campo”, ressalta o fitopatologista.
Destaque no aniversário da Embrapa
O Monitora Caju está entre as tecnologias a serem lançadas durante a celebração do 53º aniversário da Embrapa, em Brasília (DF). A solenidade comemorativa acontecerá durante a Feira Brasil na Mesa, entre 23 e 25 de abril, na Embrapa Cerrados (DF) e reunirá destaques tecnológicos voltados para a produção sustentável nas mais diversas áreas da agropecuária brasileira.
O aplicativo está disponível no link: https://monitoracaju.cnpat.embrapa.br/
Diagnóstico em campo
Os comandos autoexplicativos facilitam o uso do Monitora Caju e possibilitam o reconhecimento da praga ou da doença e o diagnóstico em campo. A partir de informações fornecidas em cada tela, o aplicativo calcula o índice de incidência e, de acordo com o resultado, orienta sobre as medidas de controle necessárias.
“A maioria dos produtores de caju sabe reconhecer um ataque de oídio, da traça-da-castanha e da broca-das-pontas, por serem problemas comuns nos pomares. Mas, como estratégia para adoção da tecnologia em larga escala, serão oferecidas capacitações para produtores e técnicos extensionistas, visando aprimorar esses conhecimentos” enfatiza Valentim.
Pragas e doença do período de frutificação

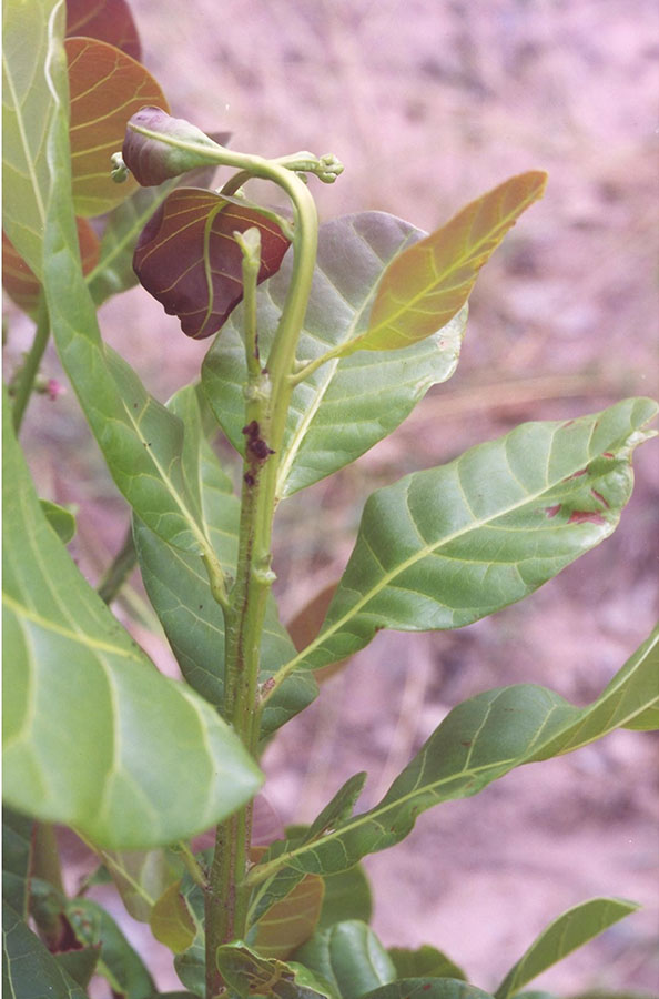
Embora seja uma planta rústica, o cajueiro é altamente suscetível a pragas e doenças, exigindo cuidados contínuos com a sanidade do pomar, para evitar perdas na produção e prejuízos econômicos. No Brasil existem cerca de 1.200 espécies de insetos-praga que atacam a planta em diferentes momentos do seu desenvolvimento. A traça-da-castanha e a broca-das-pontas, pequenas lagartas que danificam diferentes partes do cajueiro, estão entre as principais durante o período de frutificação.
A traça-da-castanha perfura as castanhas de caju (fotos acima e abaixo) e se alimenta das amêndoas. Já a broca-das-pontas consome a parte central de ramos florais, interrompendo o fluxo da seiva na planta e impedindo a formação de frutos. O pesquisador Antonio Lindemberg observa que, em regiões onde o produtor não faz o monitoramento, a infestação chega a 80% de castanhas furadas, ou seja, de 100 castanhas, 80 têm a amêndoa danificada. Em ataques da broca-das-pontas o nível de ramificações afetadas varia de 20% a 30%.

O entomologista explica que, de todas as pragas do cajueiro, a mais prejudicial é a traça-da-castanha porque a infestação ocorre quando a planta já está no seu ciclo final de produção. Por atacar o fruto (a castanha) em formação ou já formado, esse inseto coloca em risco todo o investimento feito no plantio. Além disso, é uma praga silenciosa e o produtor só percebe a castanha furada quando o dano já está feito. “Fazer a identificação adequada e conhecer o comportamento das pragas, bem como a época de ocorrência, é essencial para um manejo eficaz”, complementa.
No rol de doenças da cajucultura, o oídio (foto abaixo) se destaca como a mais agressiva. De rápida disseminação, essa infecção fúngica está presente na maioria das regiões produtoras de caju e quando não controlada pode causar danos significativos aos plantios. Segundo Valentim, o oídio ataca o cajueiro em todas as fases da cultura, mas os maiores danos ocorrem durante a floração e frutificação. ”Quando atinge as inflorescências, provoca a queima e a morte das flores, impedindo a formação de frutos. É crucial monitorar os sintomas como medida preventiva. Esse cuidado possibilita o controle integrado da doença e a adoção de medidas adequadas”, pontua.

Metodologia para o monitoramento

Estudos da Embrapa orientam que no Manejo Integrado de Pragas o monitoramento seja realizado de forma contínua, desde a implantação da área cultivada. Esse acompanhamento sistemático facilita o controle fitossanitário e reduz o uso de defensivos químicos, evitando equívocos e gastos desnecessários, com economia para o agricultor e benefícios para o consumidor e meio ambiente.
O monitoramento deve considerar os sintomas. No caso da broca-das-pontas, é importante identificar inflorescências murchas, secas ou ramos florais quebrados, além da presença de orifícios nos ramos e de fezes das lagartas na parte superior das folhas localizadas abaixo dos ramos atacados. Já no caso da traça-da-castanha, é preciso verificar a presença de furo nas castanhas. Quanto ao oídio, o principal sintoma a ser observado é a ocorrência de cinza na superfície das folhas, inflorescências, frutos e ramos jovens.
A metodologia desenvolvida para o monitoramento com o aplicativo, preconiza a definição da amostragem em função do tamanho da área. “Para um pomar de até cinco hectares, recomendamos uma amostra de 10 plantas e o monitoramento de cinco ramos ao redor de cada uma. Quando o controle ocorre no início do ataque da praga, o custo é menor e os riscos de perda reduzem. Por isso, orientamos iniciar o processo quando 3% a 5% dos ramos amostrados apresentarem infestação de broca-das-pontas, e 5% das castanhas tiverem furo”, aponta Lindemberg.
Ainda de acordo com o pesquisador, essa orientação possibilita otimizar o tempo na realização do monitoramento. O produtor rural necessita de métodos ágeis de manejo fitossanitário, que proporcionem rentabilidade à cajucultura e reduzam custos com defensivos. O aplicativo Monitora Caju fornece uma metodologia bem orientada e ainda facilita o acesso a uma gama de informações sobre fitossanidade do cajueiro, geradas pela pesquisa, e disponibilizadas em forma de publicações.
O controle de pragas e doenças é essencial para garantir renda na cajucultura. O produtor precisa conhecer o problema, fazer o monitoramento em todas as fases da cultura e adotar as medidas adequadas. “É importante levar em consideração o custo-benefício do Manejo Integrado de Pragas, por se tratar de um processo que envolve baixo investimento e ajuda a conferir sustentabilidade a longo prazo”, afirma Lindemberg.
Mapas de ocorrência
O Monitora Caju também permite gerar mapas de ocorrência do oídio, da traça-da-castanha e da broca-das-pontas. O aplicativo registra todo o processo de monitoramento e possibilita que o produtor forme o seu próprio banco de dados, com informações sobre a evolução das pragas e doenças identificadas. Além disso, indica a localização geográfica das infestações, permitindo rastreá-las por localidade.
Os mapas gerados podem subsidiar a formulação de políticas públicas de controle fitossanitário e o fortalecimento da cajucultura brasileira. “Precisamos de políticas públicas baseadas em informações reais do campo. Ter um panorama da ocorrência de pragas e doenças e dos níveis de incidência também pode direcionar novas pesquisas científicas e contribuir para a geração de conhecimentos inéditos sobre a cajucultura”, pondera Valentim.
Apoio na adoção da tecnologia

A cajucultura gera trabalho e renda para centenas de famílias da região Nordeste. Os estados do Ceará, Rio Grande do Norte e Piauí respondem por 95% da produção nacional de castanha-de-caju, conforme dados do Instituto Brasileiro de Geografia e Estatística (IBGE). De acordo com o último Censo do Instituto, 143.173 estabelecimentos rurais cultivam o cajueiro no País. Desse total, 62,8% possuem pomares com menos de 50 plantas, o que caracteriza a cajucultura como uma atividade de base familiar. O conhecimento sobre pragas e doenças, o monitoramento contínuo do pomar e a proatividade no controle fitossanitário são primordiais para a obtenção de pomares sadios e produtivos.
Para o supervisor de fruticutura da Assistência Técnica e Gerencial (ATeG) do Serviço Nacional de Aprendizagem Rural no Ceará (Senar/CE), Marcelo Colaço, o Monitora Caju é uma tecnologia inovadora, com grande potencial de alcance na agricultura familiar. Há um contingente expressivo de pequenos e médios produtores de caju que não têm acesso a tecnologias e contar com uma ferramenta para uso no celular, com a vantagem de não depender de rede de internet, é um diferencial, que pode trazer mudanças significativas no campo, por meio de melhores resultados na produção e na geração de renda.
“Temos uma equipe de técnicos extensionistas que atende cerca de 600 cajucultores do Ceará e pode apoiar e expandir a adoção do Monitora Caju junto a essas famílias, como ferramenta de controle fitossanitário. Além de diagnóstico rápido, o produtor saberá como controlar o problema. A agilidade na identificação de pragas ou doenças do cajueiro e a adoção imediata de medidas de controle torna o processo mais eficaz, seguro e econômico”, avalia o gestor.
VEJA TAMBÉM:
- Com 35% da produção voltada à exportação, carne bovina entra em ciclo de valorização
- IGC reduz safra mundial de trigo e milho em 2026/27
- Tempo seco em área central do Brasil ameaça milho tardio, mas favorece colheita de cana
ℹ️ Conteúdo publicado por Myllena Seifarth sob a supervisão do editor-chefe Thiago Pereira
Quer ficar por dentro do agronegócio brasileiro e receber as principais notícias do setor em primeira mão? Para isso é só entrar em nosso grupo do WhatsApp (clique aqui) ou Telegram (clique aqui). Você também pode assinar nosso feed pelo Google Notícias
Não é permitida a cópia integral do conteúdo acima. A reprodução parcial é autorizada apenas na forma de citação e com link para o conteúdo na íntegra. Plágio é crime de acordo com a Lei 9610/98.